Advertisement

Aliansi News, menyajikan fakta dengan perspektif berbeda

HEADLINE

KPK Sita Miliaran Rupiah dan logam mulia disita dalam OTT Kanwil Pajak Jakut

Kategori: Peristiwa

Kapal muatan bantuan tenggelam di Pangkep, camat hingga bidan tewas
Minggu, 28 Des 2025  07:08
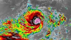
Waspada! Siklon Tropis Grant terbentuk, pesisir Selatan Indonesia berpotensi gelombang tinggi 
Selasa, 23 Des 2025  12:52
Tri Taruna Fariadi, jaksa yang kabur saat OTT di HSU Kalsel diserahkan Kejagung ke KPK
Senin, 22 Des 2025  15:50
Dinilai lamban tangani bencana Sumatera, Gibran: Pemerintah berupaya maksimal
Senin, 22 Des 2025  14:11
Pengungsi korban banjir di Aceh Barat sudah kembali ke rumah seluruhnya
Senin, 22 Des 2025  11:49
Langgar izin dan tak laik jalan, fakta Bus Cahaya Trans yang alami kecelakaan maut di exit tol Krapyak
Senin, 22 Des 2025  11:11
Sejumlah kota besar di pulau Jawa alami penurunan tanah serius
Senin, 22 Des 2025  09:06
Kecelakaan maut bus Cahaya Trans, sopir dan kernet selamat meski bus hancur
Senin, 22 Des 2025  08:47
15 tewas dalam kecelakaan bus Cahaya Trans di exit tol Krapyak Semarang
Senin, 22 Des 2025  08:20
Rakit terbalik, Wagub Aceh nyaris tenggelam saat tinjau bencana di Pameu Aceh Tengah
Minggu, 21 Des 2025  22:39
Gempa M 5,5 guncang Tanimbar Maluku, tidak berpotensi tsunami
Minggu, 21 Des 2025  12:05
Truk angkut besi kecelakaan di Cakung, dua tewas tertimpa muatannya sendiri
Sabtu, 20 Des 2025  22:33
Gempa M 4,6 guncang Bengkulu, ini kata BMKG
Sabtu, 20 Des 2025  21:33
Ferry Irwandi: Yang gaduh di medsos ke lokasi bencana Sumatera 5 hari saja tidak kuat
Sabtu, 20 Des 2025  20:24
Bibit siklon 93S menguat, Jakarta dan sejumlah wilayah di Jawa siaga hujan lebat dan angin kencang
Sabtu, 20 Des 2025  19:58
Gempa M 5,2 guncang Gorontalo, dipicu aktivitas lempeng Laut Sulawesi
Sabtu, 20 Des 2025  18:53
Pemerintah izinkan warga manfaatkan kayu gelondongan pasca banjir Sumatera
Jumat, 19 Des 2025  22:12
Kapolri: Satu korporasi jadi tersangka kasus kayu gelondongan di Sumatera
Jumat, 19 Des 2025  21:30
3 siklon tropis aktif bersamaan, akankah dampaknya sedahsyat Senyar di Sumatera?
Kamis, 18 Des 2025  13:29
Tinjau posko pengungsi di Agam Sumbar, Prabowo disambut lagu Indonesia Raya
Kamis, 18 Des 2025  11:29
Gibran ajak gotong royong percepat pemulihan pasca bencana di Gayo Lues
Kamis, 18 Des 2025  11:26
Tiba di Sumbar, Prabowo langsung gelar ratas penanganan bencana
Kamis, 18 Des 2025  00:49
Korban meninggal bencana Sumatera jadi 1.059 Jiwa, 192 hilang dan 577.600 masih mengungsi
Rabu, 17 Des 2025  23:03
Di Gayo Lues Aceh, Gibran tinjau jembatan Aih Bobo pasca diterjang banjir bandang
Rabu, 17 Des 2025  22:26
1
2
3
>>
>|
Formasi Indonesia Satu
Aliansi Indonesia