3 siklon tropis aktif bersamaan, akankah dampaknya sedahsyat Senyar di Sumatera?
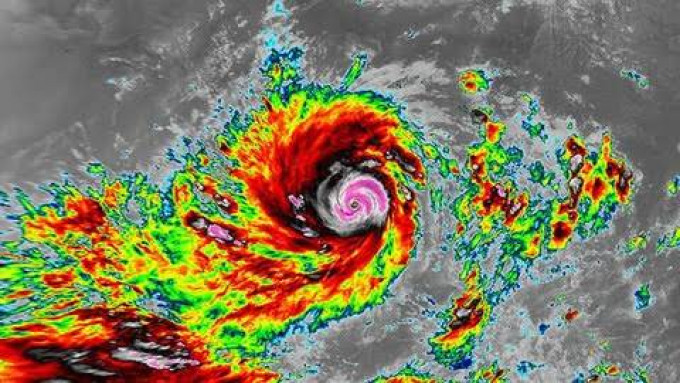
Badan Meteorologi, Klimatologi, dan Geofisika (BMKG) mendeteksi tiga siklon tropis di wilayah Samudra Hindia selatan Indonesia masih aktif hingga Kamis (18/12/2025).
Ketiga siklon tersebut di antaranya Siklon Tropis Bakung, Bibit Siklon Tropis 93S, dan Bibit Siklon Tropis 95S.
Secara umum, kemunculan tiga bibit siklon dalam satu waktu yang sama itu berdampak pada cuaca ekstrem, seperti hujan lebat, angin kencang, dan gelombang tinggi di sejumlah wilayah di Indonesia.
Lantas, apakah dampak ketiga bibit siklon tropis itu sama seperti kemunculan Siklon Tropis Senyar yang memicu terjadinya banjir serta tanah longsor di Aceh dan Sumatera?
Penjelasan BMKG
Prakirawan TCWC Jakarta Afif Shalahuddin membenarkan bahwa Indonesia tengah dikepung tiga siklon tropis, yakni Siklon Tropis Bakung serta dua bibit siklon tropis 93S dan 95S.
Meski demikian, dia memastikan dampak ketiga mata badai ini tidak serupa dengan Siklon Tropis senyar yang muncul di daratan.
Sebaliknya, ketiga siklon tropis ini terbentuk di lautan.
"Jika Bibit Siklon Tropis 93S dan 95S berkembang, jalurnya cenderung tetap berada di laut dan indikator saat ini tidak menunjukkan potensi kuat untuk bergerak ke arah daratan Indonesia seperti yang terjadi pada Senyar," ucapnya, Kamis (18/12/2025).